Runeberginkadun katusuunnitelma
Länsiratikat projekti alkaa nyt Runeberginkadulla ja on tuomassa huomattavia muutoksia alueen liikennejärjestelyihin.
Suurimpina muutoksina on Runeberginkadun linja-autokaistojen poistuminen ja linja-auto ja muun autoliikenteen tuleminen yksikaistaiseksi. Museokadun sulkeminen kokonaan moottoriajoneuvoliikenteeltä Runeberginkadun risteyksessä kummaltakin puolin ja näin Museokadun katkaiseminen moottoriliikenteen osalta kahdella umpikujalla. Pienempiä muutoksia ovat Lutherinkadun ja Tunturikadun risteyksien muutokset suuntaisliittymiksi ja Ilmarinkadun, Tunturikadun ja Lutherinkadun liittymien toteuttaminen ylijatketuilla jalkakäytävillä. Hieman epäselväksi suunnitelmista jää pääseekö Arkadiankatua ajamaan vielä Runeberginkadun ylitse ja missä määrin. Ajoneuvoliikenteen mahdollisuuksia kavennetaan roimasti Runeberginkadulla, mutta epäselväksi jää suuntautuuko tämä liikenne nyt uudistuuksessa kortteliralliksi pikkukaduille.
Itse suunnitelmat vaikuttavat perustuvan tietoteknisiin simulaatiomalleihin eikä alueen asukkaiden, yrittäjien tai toimijoiden näkemyksiä tai kokemuksia ole katsottu tarpeelliseksi kysellä tai huomioida.
Helsingin kaupunki laatii Etu-Töölön ja Taka-Töölön kaupunginosissa sijaitsevan Runeberginkadun katusuunnitelmaa välillä Arkadiankatu–Sandelsinkatu osana Länsiratikat -projektia.
Runeberginkadulle rakennetaan yksisuuntaiset jalankulusta ja autoliikenteestä erotellut pyörätiet. Linja-autokaistat poistetaan ja bussipysäkkien sijainteja muutetaan. Nykyinen yöajan pysäköinti poistuu. Raitiopysäkkejä levennetään ja Apollonkadun raitiopysäkki pidennetään kahden raitiovaunun mittaiseksi. Risteyksiin toteutetaan muutoksia mm. ajosuuntiin, liikennevalo-ohjaukseen ja kadunylitysjärjestelyihin.
Suunnitelmat nähtävillä 15.4-28.4.2026.
Suunnitelmista ei näemmä ole järjestetty mitään tilaisuutta eikä niitä voi kommentoida verkossa, mutta palaute pitää lähettää suoraan sähköpostilla tai puhelimitse Mika Kaalikoskelle ja Heidi Piiroiselle.
Palaute nyt esillä olevasta katusuunnitelmaluonnoksesta 28.4.2026 mennessä suoraan alla oleville henkilöille:
Mika Kaalikoski, maankäyttö ja kaupunkirakenne, puh. 09 310 39495, mika.kaalikoski@hel.fi
Heidi Piiroinen, Infraohjelma Helsinki, puh. 050 542 3713, heidi.piiroinen@sitowise.com
Ennen katusuunnitelmaehdotuksen hyväksymistä se asetetaan virallisesti nähtäville kahden viikon ajaksi kesäkuussa 2026. jolloin asiasta voi jättää muistutuksen.
Suunnitelman katsotaan olevan liikenne- ja katusuunnittelupalvelun laatiman Länsi-Helsingin raitioteiden yleissuunnitelman 7049 periaatteiden mukainen.
Runeberginkadun uudet suunnitelmat Töölössä
Runeberginkadun raitiovaunupysäkit laajenevat, tien kummallekin puolelle tulee pyörä- ja jalankulkuväylät, linja-autokaista poistetaan ja kadulle jää yksi autokaista yhteen suuntaan. Sammonpuiston puurivi ”uusitaan”.
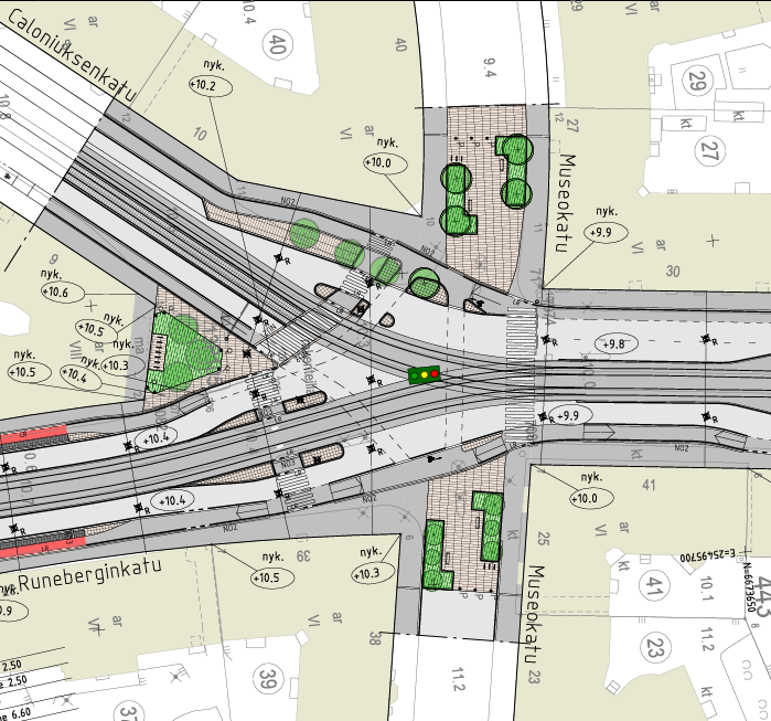
Runeberginkadun raitiovaunupysäkit laajenevat, tien kummallekin puolelle tulee leveämmät pyörä- ja jalankulkuväylät, linja-autokaista poistetaan ja kadulle jää yksi autokaista yhteen suuntaan. Caloniuksenkadun ajolinja kapenee entisestään. Musoekadun risteys suljetaan moottoriliikenteeltään kokonaan kummaltakin puolen.
Museokadun, Caloniuksenkadun ja Runeberginkadunkadun risteys. Museokatu katkaistaan risteyksessä kahdeksi umpikujaksi.
Mechelininkadun ja Runeberginkadun väliselle osuudelle ei pääse autolla enää muualta kuin Mechelininkadulta etelästä tultaessa. Kadulta ei pääse enää pois autolla kuin pohjoiseen päin Mechelininkadulle.
Museokadun Museonpuoleiselle osuudelle ei näemmä pääse enää autolla sisään kuin Töölönkadulta tai Oksasen kadun ja Tunturikadun kautta tultaessa etelästä. Kadulta ei käytännössä pääse enää autolla ulos etelän suuntaan.
Tutustu suunnitelmiin. Tien kummallekin puolelle tulee pyörä- ja jalankulkuväylät. Linja-autokaista poistetaan ja kadulle jää yksi autokaista yhteen suuntaan.
LIITY YHDISTYKSEN JÄSENEKSI
Liity kannattamaan Hietsun paviljongia ja kulttuurityötä Töölössä. Pysy kartalla Töölön tapahtumista. Jäsenmaksu 20€ vuodessa.
























